liść (Tortricidae lub Olethreutidae) jest członkiem rodziny motyli, która łączy ponad 1000 rodzajów i około 10 tysięcy gatunków. Można go spotkać w dowolnej części globu, ale większość gatunków znajduje się w lasach tropikalnych Azji.
funkcje ulotki

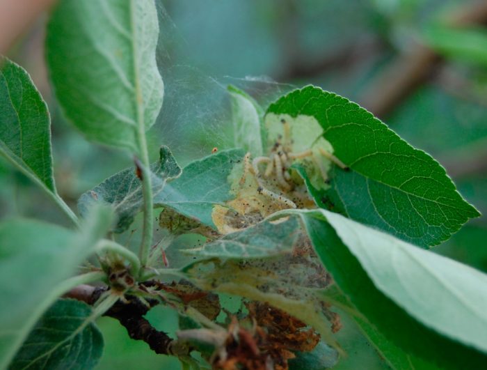
liść motyla jest zewnętrznie podobny do ćmy lub ćmy. Rozpiętość skrzydeł nie przekracza 25 mm. z reguły jej ciało jest grube i ma gęstą powłokę złożoną z włosków. Skrzydła składają się z tyłu poziomo. Długość prawie nagich gąsienic tych motyli waha się od 10 do 20 mm, mają 16 nóg, głowę o brązowym lub czarnym kolorze i jasnozielone lub jasnożółte ciało. Na pierścieniach brzucha gąsienice mają pas, na którym znajdują się haczyki. Gąsienice, a nie dorosłe motyle, wyrządzają szkodę roślinom.
w dość dużej rodzinie hodowców liści najlepiej jest oddzielić tylko kilka rodzajów, a mianowicie: pędy-pożerają pędy i pąki drzew iglastych i Ćmy-szkodzą krzewom ogrodowym i drzewom. Wszystkie inne szkodniki należące do tej rodziny uszkadzają prawie wszystkie części różnych upraw, zarówno nadziemne, jak i podziemne (korzenie). Poniżej zostaną szczegółowo opisane o ulotkach ćmy.
liść jest w stanie bardzo zaszkodzić krzewom ogrodowym i drzewom, uszkadza liście roślin. Gąsienice chowają się w liściach i owijają je w rurki lub pęczki, jednocześnie ciągnąc je za pomocą sieci. Ponieważ istnieje ogromna liczba różnych rodzajów liści, które mają wiele różnic między sobą, każda z sekcji opisuje konkretny rodzaj liści, który może zaszkodzić konkretnemu krzewowi ogrodowemu lub drzewu.
walka z ulotką w ogrodzie

możesz walczyć z ulotką na trzy sposoby: chemiczny, mechaniczny i biologiczny. Dzięki mechanicznym metodom kontroli możesz zniszczyć gąsienice tego szkodnika lub stworzyć przeszkodę, która ochroni miejsce przed mączlikiem. Metody te obejmują: przycinanie i palenie liści zwiniętych przez szkodnika, a także strząsanie gąsienic z rośliny. Ponadto, aby pozbyć się szkodliwego owada mechanicznie, możesz użyć pasów pułapkowych i różnych pułapek, które są przeznaczone nie tylko do zbierania, ale także do niszczenia ulotek. Takie urządzenia nie wyrządzają żadnej szkody zarówno zwierzętom, jak i ludziom, a także nie zanieczyszczają przyrody.
biologiczne sposoby radzenia sobie z takim owadem wymagają użycia do tego swoich naturalnych wrogów. A raczej zaleca się przyciąganie ptaków na miejsce. Głównym wrogiem ulotki jest Sikora. Niszczy zarówno dorosłe motyle, jak i gąsienice. Aby nie tylko przyciągnąć go na miejsce, ale także utrzymać na nim, od jesieni zaleca się wieszanie podajników na drzewach, w których umieszczane są niedogotowane nasiona i niesolony smalec.
najbardziej skuteczne są chemiczne metody zwalczania szkodników, za pomocą których można eksterminować zarówno motyle, jak i ich gąsienice. Ale w tym przypadku należy wziąć pod uwagę, że taki szkodnik może bardzo szybko przystosować się do toksyn, w związku z tym leki stosowane do przetwarzania muszą być regularnie wymieniane lub naprzemiennie. Ponadto toksyny, które są częścią środków chemicznych, podczas opryskiwania rośliny znajdują się na powierzchni owoców, a jeśli osoba je zje, mogą zaszkodzić jego ciału. W związku z tym eksperci zalecają stosowanie chemikaliów tylko wtedy, gdy liczba ulotek jest wyższa niż próg szkodliwości: jeśli podczas badania jednej gałęzi znaleziono na niej 5 lub większą liczbę gąsienic, oznacza to, że roślinę należy spryskać specjalnym środkiem owadobójczym.
musisz walczyć z ulotką nie tylko na roślinach, na których została zauważona. Wszystkie drzewa i krzewy powinny być traktowane, ponieważ larwy takiego owada mogą łatwo przenieść się do innej rośliny, po prostu wyślizgując się ze zwiniętych liści. Ponadto nie możemy zapominać o środkach zapobiegawczych, które pomogą chronić ogród przed pojawieniem się tego szkodnika. Aby rozpocząć walkę ze szkodnikami w odpowiednim czasie, musisz codziennie sprawdzać uprawy ogrodowe. Faktem jest, że chociaż jest niewiele szkodników, o wiele łatwiej się ich pozbyć.
dorosły motyl jest znacznie trudniejszy do zniszczenia niż gąsienica ulotki. Jakie narzędzia zaleca się stosować do przetwarzania konkretnej kultury z ulotki, zostaną szczegółowo opisane w innych sekcjach tego artykułu. Należy jednak zauważyć, że jeśli gąsienice zdążyły owinąć się w liście, nawet najsilniejszy środek owadobójczy nie może ich zniszczyć. Dlatego takie zwinięte liście ze szkodnikiem są cięte i spalane.
Preparaty chemiczne

wszystkie leki owadobójcze stosowane do zwalczania ulotki są podzielone na kontaktowe i ogólnoustrojowe. Środki kontaktowe są mniej toksyczne, ale są również różne i nie są zbyt skuteczne. Ogólnoustrojowe środki owadobójcze są bardziej skuteczne, ale są również stosunkowo droższe.
w celu zapobiegania, a także w przypadku wykrycia kilku szkodników w ogrodzie, najczęściej stosuje się następujące środki chemiczne:
- Alatar . Jest to uniwersalny środek owadobójczy. Aby przygotować roztwór roboczy, który służy do opryskiwania krzewów ogrodowych i drzew, połącz jedno wiadro wody i 3-5 miligramów leku.
- karbofos lub Fufanon jest lekiem owadobójczym o szerokim spektrum działania. Roztwór przygotowuje się w następujący sposób: 1 litr wody łączy się z 1 miligramem produktu, aw szczególnych przypadkach ilość środka owadobójczego wzrasta do dwóch miligramów.
- Dursban . W jednym wiadrze wody rozpuść od 10 do 20 miligramów tego środka owadobójczego.
- Atom, desant, Ditox i dwumian . Wszystkie te leki są środkami owadobójczymi o szerokim spektrum działania. Do przetwarzania przygotowuje się roztwór, w tym celu łączy się 1 litr wody z 1 ml produktu.
- Aktara . Taki środek owadobójczy o szerokim spektrum działania jest również stosowany w walce z ulotką. Aby spryskać krzaki, przygotuj roztwór-na jedno wiadro wody pobiera się 8 miligramów leku.
- Actellic . Środek owadobójczy o działaniu jelitowo-kontaktowym. Na 1 litr wody pobiera się 1 ml produktu.
również dość skutecznie niszczą gąsienice biologicznie aktywne środki, takie jak: Dendrobacylina, Lepidocyd i Bitoksybacylina.
dość trudno jest pozbyć się ulotki, w związku z tym będziesz musiał spryskać rośliny kilka razy z przerwą 1-1,5 tygodnia.
w przypadku, gdy na uprawach ogrodowych znajduje się duża liczba szkodników, zaleca się stosowanie silniejszych środków do ich zwalczania. Larwy ukryte w liściach są eksterminowane syntetycznymi pyretroidami, na przykład: Ivanhoe, Alfacin, Fatrin, Fastak i akord. Podczas korzystania z tych narzędzi należy ściśle przestrzegać instrukcji (patrz na opakowaniu), a Temperatura powietrza nie powinna przekraczać 23 stopni, jeśli jest cieplejsza, leki nie będą działać. Pamiętaj, że pyretroidy są bardzo toksyczne dla ludzi, dlatego eksperci zalecają ich stosowanie tylko wtedy, gdy inne metody okazały się mało skuteczne. Możesz również szybko pozbyć się szkodnika za pomocą pestycydów, na przykład: Inta-Vir, Rovicurt, Fury i Kinmix. Jednak środki te są również bardzo niebezpieczne dla ludzi.
środki ludowe

jeśli nie ma zbyt wielu szkodników na drzewach i krzewach, możesz spróbować je zniszczyć za pomocą środków ludowych. Istnieje kilka środków ludowych, które są dość skuteczne w walce z ulotką, ale jednocześnie są całkowicie bezpieczne zarówno dla ludzi, jak i zwierząt. Na przykład:
- wywar z piołunu . Aby go przygotować, musisz połączyć 10 litrów wody z 0,7-0,8 kg suchego piołunu lub ½ części wiadra posiekanego świeżego zioła. Mieszaninę należy zaparzać przez dwa dni, po czym gotuje się przez 30 minut na małym ogniu. Doprowadzić objętość schłodzonego i przefiltrowanego środka do 10 litrów. Przed obróbką produkt rozcieńcza się wodą w stosunku 1: 1.
- napar z tytoniu . Do wiadra gorącej wody dodaje się pół kilograma machorki lub pyłu tytoniowego. Infuzja będzie gotowa za 2 dni, jest filtrowana gazą i wyciskana. Produkt rozcieńcza się wodą w stosunku 1: 1. Przed przetworzeniem w każdym wiadrze gotowego produktu rozpuść 40 g zmiażdżonego mydła na tarce (możesz wziąć mydło w płynie). Ten napar jest toksyczny dla ludzi, dlatego podczas przetwarzania nie zapomnij o środkach ostrożności.
- wywar z pomidorów . Wiadro wody łączy się z czterema kilogramami drobno posiekanych korzeni i zielonych świeżych wierzchołków pomidora, pozostawia mieszaninę do zaparzenia przez trzy do czterech godzin. Następnie gotuje się go przez pół godziny na małym ogniu, gdy produkt ostygnie, jest filtrowany, a resztki roślin należy wycisnąć. W szczelnie zamkniętych szklanych butelkach wywar można przechowywać przez 12 miesięcy, ale tylko w chłodnym miejscu. Przed użyciem wywar rozcieńcza się wodą (1: 1), a 40 gramów zmiażdżonego mydła umieszcza się w każdym 10 litrze gotowego roztworu.
- napar z ziemniaków . Wiadro ciepłej wody łączy się z czterema kilogramami świeżych wierzchołków ziemniaków (suche wierzchołki są pobierane 2 razy mniej). Napar będzie gotowy po 3 lub 4 godzinach. po przefiltrowaniu wkłada się do niego 40 gramów mydła.
te środki ludowe dość dobrze zwalczają gąsienice, jeśli krzewy i drzewa są spryskiwane na krótko przed kwitnieniem i pod koniec kwitnienia. Aby pozbyć się dorosłych liści (motyli), potrzebujesz roztworu melasy, który zaczął fermentować dżem, kompot z suszonych owoców lub kwas chlebowy. Napełnij je szklanym słoikiem o pojemności 1 litra na 1/3 części, a następnie zawieś go wieczorem na drzewie na co najmniej półtora metra wysokości. Tam "pułapka" musi zostać w nocy. Rano usuń słoik, ponieważ mogą dostać się do niego nie tylko szkodniki, ale także pożyteczne owady, a także dorośli ulotki nie latają w ciągu dnia, ale ukrywają się na gałęziach drzew i pniach.
środki zapobiegawcze

ogólnie rzecz biorąc, całkowicie zdrowe i silne szkodniki roślin omijają. Przede wszystkim ulotki osiedlają się na kulturach osłabionych przez chorobę lub nieodpowiednią opiekę. Pamiętaj o regułach agrotechnicznych upraw, a także zapewnij im terminową opiekę, w tym celu rośliny muszą być wypolerowane, podlewane, przycinane i karmione na czas. Upewnij się, że korony roślin nie są nadmiernie pogrubione, a także, że w glebie jest wystarczająca ilość składników odżywczych i wilgoci, ale pamiętaj, że zarówno ich brak, jak i nadmiar mogą zaszkodzić zarówno krzewom, jak i drzewom. Jeśli koło pnia jest porośnięte trawą, Zwiększa to prawdopodobieństwo pojawienia się ulotki. Upewnij się, że gleba w Kole pnia jest zawsze luźna.
aby zapobiec rozprzestrzenianiu się gąsienic liściowych w ogrodzie, musisz codziennie usuwać latające liście i owoce spod roślin, zwłaszcza jeśli osiadła na nich ćma. Wczesną wiosną drzewa oczyszczają korę, w tym celu usuwane są martwe części, po czym powierzchnia łodygi jest pokryta mlekiem wapiennym, które miesza się z roztworem kredy lub siarczanem miedzi, a także dodaje się do niego karbofos (2%). Staraj się zapobiegać mrozom i uszkodzeniom mechanicznym na drzewach.
zabiegi profilaktyczne

aby zapobiec pojawieniu się liści na działce ogrodowej, eksperci zalecają systematyczne przetwarzanie w celach profilaktycznych. Po raz pierwszy w sezonie rośliny są traktowane wczesną wiosną natychmiast po oczyszczeniu i wybieleniu gałęzi szkieletowych i pni drzew. Przetwarzanie odbywa się przed rozpoczęciem przepływu soków, a Temperatura powietrza nie powinna być niższa niż 10 stopni, ale jeśli Na zewnątrz jest chłodniej, larwy ukryją się pod korą, a lek stosowany do opryskiwania nie będzie w stanie na nie działać.
w celu zapobiegania rośliny są traktowane środkami takimi jak Kinmix lub Decis, nie zapomnij postępować zgodnie z instrukcjami. Narzędzia te są również wykorzystywane do kolejnych zabiegów, które są przeprowadzane na krótko przed kwitnieniem roślin i natychmiast po zakończeniu kwitnienia. Podczas wzrostu owoców krzewy owocowe i drzewa są również spryskiwane w celu zapobiegania, w tym celu można użyć karbofos, iskry, Kinmix, Fury, Kemifos, Cytkor lub Decis. Następnie rośliny przestają być opryskiwane chemikaliami, ale nadal musisz regularnie usuwać latające owoce i liście, odcinać liście zwinięte w liść z roślin, a także regularnie wieszać pułapki i używać pasów do wiązania drzew. Po zakończeniu opadania liści oczyść działkę ogrodową z liści i poluzuj glebę w kręgach pni. Następnie krzewy i drzewa, a także powierzchnia ziemi pod nimi, są spryskiwane siarczanem miedzi lub mieszanką Bordeaux.
ulotki na drzewach
Ulotka na jabłoni

kilka rodzajów liści może osiedlić się na jabłoni:
- liść nerki lub krętarz . Przednie skrzydła takiego motyla mają białawo-żółty kolor. Podstawowe pole ma brązowo-szary kolor z niebieskawym połyskiem, a prawie obok górnej krawędzi znajduje się duże lustro, które jest otoczone parą błyszczących pasków ołowiowo-szarego odcienia.
- ulotka grono . Przednie skrzydła owada są pomalowane na brązowo i mają wzór składający się z poprzecznych pasków o jasnym odcieniu, który jest rozcieńczony jasnoniebieskimi i żółtymi plamami.
- orientalna ćma . Na skrzydłach ciemnobrązowego odcienia wzdłuż przedniej krawędzi znajdują się białe kreski. Na szczycie skrzydeł znajduje się aksamitnie czarne obramowanie. Kolor tylnych skrzydeł jest jaśniejszy, brązowawo-szary.
- ulotki Głogów . U samców takiej ćmy przednie skrzydła są jasnożółte, a u samic brązowawo-szare. Skrzydła zdobi wzór, u samców jest jasnobrązowy i rozmyty, a u samic ciemniejszy odcień. Kolor tylnych skrzydeł jest jaśniejszy, a samice mają jasnoczerwoną powłokę na ich powierzchni.
- liść jabłoni lub ćma jabłoni . Szary nocny motyl, którego rozpiętość skrzydeł może wynosić od półtora do dwóch centymetrów. Długość różowawej gąsienicy wynosi około 1,8 cm, jej głowa jest brązowa. Brązowożółta poczwarka osiąga od 0,9 do 1,2 cm długości.
oprócz tych gatunków na drzewie jabłoni czasami osiedlają się również śliwki, dębowe i gruszkowe ćmy, porzeczki i ulotki owocowe (ich opis można znaleźć poniżej). Gąsienice takiego owada uszkadzają liście, pąki i owoce tej kultury.
walcz z ulotką osiadłą na drzewie jabłoni na różne sposoby, nie zaniedbując środków zapobiegawczych. Od wiosny do rozpoczęcia aktywnego wzrostu owoców jabłoni zaleca się spryskiwanie środkami chemicznymi, później do ich przetwarzania stosuje się mniej niebezpieczne środki ludowe dla ludzi i nie zapomina się o mechanicznych metodach zwalczania szkodników.
na początku sezonu wczesną wiosną, gdy na zewnątrz nie będzie chłodniej niż 10 stopni, spryskaj drzewo roztworem Decys (na litr wody 1 miligram) lub prewencji(na wiadro wody 500 ml). Na jedną dorosłą roślinę pobiera się nie więcej niż połowę wiadra roztworu. Następnie będziesz potrzebować 2 dodatkowych opryskiwania środkami o podobnym działaniu (desant, karbofos, Tod, Ditox itp.), są one przeprowadzane na krótko przed kwitnieniem i natychmiast po jego zakończeniu. Wszystkie liście zwinięte w bryłę lub rurkę muszą zostać odcięte, ale nie pozwól, aby gąsienica uciekła. Zaleca się zniszczenie tych liści ogniem, podczas gdy musisz pracować w rękawiczkach. W środku lata po tym, jak gąsienice się zepsują, bardzo trudno będzie je zniszczyć za pomocą chemikaliów. W tym czasie drzewo jabłoni i powierzchnia gleby pod nim są spryskiwane pyretroidami, na przykład: Alfacyną, Ivango, akordem, Altyną, Fatryną lub Fastakiem. Drzewo powinno być przetwarzane za pomocą tych środków tylko wtedy, gdy temperatura powietrza na ulicy nie przekracza 23 stopni.
kiedy owoce zaczną przybierać na wadze, opryskiwanie jabłoni pestycydami musi zostać zatrzymane. Następnie możesz uratować roślinę przed ulotkami tylko metodami mechanicznymi i biologicznymi, na przykład możesz użyć pułapek i pasów pułapkowych. W odpowiednim czasie oczyść powierzchnię gleby pod drzewem z latających owoców i liści. Jeśli jest taka potrzeba, spryskaj roślinę jednym ze środków ludowych.
Ulotka na gruszy

na gruszy mogą osiedlić się następujące rodzaje liści: jabłoń, śliwka, gruszka, orientalna, kiść, mróz, róża, głóg i ćma dębowa.
- liść gruszy (ćma) . Przednie skrzydła tego motyla mają ciemnoszary odcień, są ozdobione falistymi poprzecznie rozmieszczonymi paskami. Na przednich skrzydłach na górnej krawędzi znajduje się plamka o barwie brązowobrązowej. Kolor tylnych skrzydeł jest szarobrązowy. Linia ciemnego koloru biegnie u podstawy szarej grzywki.
- liść dębu lub zielony liść . Brzuch motyla jest szary, a głowa jasnożółta. Skrzydła mogą być żółtawo-zielone lub jasnożółte z rozmytymi krawędziami.
ulotki są w stanie zostawić ogrodnika bez zbiorów, ponieważ zjadają młode pędy gruszki, podczas gdy pąki nie pojawiają się, ponieważ nie mają czasu na formowanie się. Ponadto drzewo, na którym osiadły ćmy, znacznie słabnie, co ma bardzo negatywny wpływ na jego mrozoodporność.
środki zapobiegawcze jeśli chodzi o wygląd ulotki, w tym przypadku są one takie same, które są używane do uprawy drzewa jabłoniowego, a mianowicie:
- wczesną wiosną oczyść korę, aby to zrobić, usuwając z niej martwe obszary. Następnie przebij podstawę gałęzi szkieletowych i łodygi roztworem wapna lub kredy.
- po wykryciu pęknięć i mrozów na wiosnę, usuń je do zdrowej tkanki. Następnie problematyczne miejsce jest dezynfekowane roztworem siarczanu miedzi (1%), a następnie smarowane varem ogrodowym.
- po raz pierwszy drzewo jest traktowane wczesną wiosną w celu zapobiegania, podczas gdy pąki wciąż śpią, a Temperatura powietrza na zewnątrz nie powinna być niższa niż cztery stopnie. Aby to zrobić, użyj leku 30, skutecznie zwalcza szkodliwe owady, które zimowały zarówno w górnej warstwie gleby, jak iw korze rośliny. Ponadto zabiegi do celów zapobiegawczych i leczniczych są przeprowadzane tylko za pomocą takich środków, jak: desant, dwumian, Decis, Atom, Terradim, a także można stosować leki opisane w sekcji o drzewie jabłoni.
po tym, jak owoce zaczną aktywnie przybierać na wadze, wszystkie zabiegi chemiczne są zatrzymywane. Ponadto w walce ze szkodnikami można zastosować tylko środki ludowe, a także różne metody mechaniczne, na przykład:
- czyszczenie koła pnia z chwastów i rozluźnienie w nich powierzchni gleby;
- przycinanie zwiniętych liści, w których znajdują się gąsienice;
- regularne czyszczenie przelatujących liści i owoców;
- instalacja przynęt, w tym celu na gałęziach zawieszone są słoiki wypełnione sfermentowaną słodką mieszanką;
- używanie pasów do chwytania wykonanych z papieru falistego lub płótna.
jesienią, kiedy kończy się opadanie liści, działkę ogrodową należy oczyścić z latających liści, które są następnie spalane.
Ulotka na śliwce

na śliwce mogą osiedlić się te same rodzaje liści, co na jabłoni lub gruszy, a mianowicie: jabłoń, pęczek, Dąb, śliwka, głóg, pączek, Wschodnia, owocowa itp.
- liść śliwki (ćma) . Przednie skrzydła tego motyla są brązowo-szare z fioletowym odcieniem, są ozdobione rozmytym lustrem, na którym znajdują się kropki i pociągnięcia w kolorze czarnym. Brązowo-szare tylne skrzydła u podstawy są ubarwione w jaśniejszym odcieniu.
- liść owocowy lub zmienny liść . Rozpiętość skrzydeł ćmy wynosi od 1,7 do 2,1 cm, a jej kolor skrzydeł jest ciemnoszary lub brązowo-brązowy z jasnoniebieskim połyskiem, białe plamy znajdują się bliżej wewnętrznej krawędzi. Górna część skrzydeł jest w 1/3 pomalowana na prawie biały kolor, na zewnętrznej krawędzi są ozdobione brązowymi, czarnymi lub szaro-niebieskimi plamami i pociągnięciami. Brązowoszare tylne skrzydła mają przednią krawędź jaśniejszego odcienia.
aby chronić śliwkę przed tym szkodliwym owadem, musisz rozpocząć z nią walkę wczesną wiosną:
- podstawa gałęzi szkieletowych, a także łodyga śliwki, muszą być oczyszczone z martwych fragmentów kory. Następnie ich powierzchnia jest malowana za pomocą roztworu wapna z siarczanem miedzi lub roztworu kredowego zmieszanego z Karbofosem.
- zapobiegawcze opryskiwanie przeprowadza się na czas przed otwarciem pąków, na krótko przed kwitnieniem i po jego zakończeniu. Aby to zrobić, użyj takich środków, jak: Decis, Lek 30, prewencja, desant, Detox, TOD itp.
leczenie spuszczania preparatem 30 przeprowadza się, gdy powietrze ogrzewa się do 4 stopni, inne środki będą działać tylko wtedy, gdy na zewnątrz nie będzie chłodniej niż 10 stopni. Jeśli na roślinie jest niewiele szkodników, usuń je rękami lub spryskaj śliwkę dowolnym środkiem ludowym. Eksperci zalecają opryskiwanie śliwki chemikaliami tylko wtedy, gdy jest dużo liści. Pozostałe działania należy przeprowadzić zgodnie z tym samym planem, który opisano w sekcjach dotyczących gruszy i Drzewa jabłoniowego.
listek na moreli

na moreli najczęściej osiedlają się następujące rodzaje liści, których opis można znaleźć powyżej: Dąb, Gromada, głóg, jabłoń, śliwka, owoc, Wschód itp.
w tym przypadku szkodnik jest zwalczany w taki sam sposób, jak podczas uprawy gruszki, śliwki lub jabłoni (patrz wyżej). Pamiętaj, że opryskiwanie moreli silnymi pestycydami powinno być przeprowadzane tylko wtedy, gdy jest bardzo dużo szkodników.
ulotki na brzoskwini
brzoskwinia jest traktowana przed szkodnikami za pomocą tych samych środków, co gruszka, jabłoń i inne już opisane drzewa owocowe. Jeśli jest niewiele owadów, do opryskiwania stosuje się środki ludowe, a jeśli są one mało skuteczne, tylko wtedy zaleca się stosowanie silnego PREPARATU CHEMICZNEGO.
Ulotka na winogronach

najczęściej winogrona są uszkodzone przez takie rodzaje liści, jak: kiść, dwuliścienne i winogrona.
liść winogron-rozpiętość skrzydeł tego motyla wynosi około 2,5 cm, jego aparat gębowy jest wydłużony. Kolor tylnych skrzydeł jest brązowo-szary, a przednich ― ochra, jasnozielony lub błyszczący jak mosiądz. Na przednich skrzydłach występują skośne pasy ciemnobrązowego koloru, są one wyraźniej widoczne u samców, a u samic-mogą być nieobecne lub ledwo widoczne. Gąsienice o zielonkawo-szarym kolorze z brązową głową na samym początku niszczą pąki winogron, a następnie zaczynają jeść młode płytki liściowe, a także tworzyć schronienia dla siebie, w tym celu zginając krawędzie liści i oplatając je pajęczynami. Tylko jedna gąsienica, która robi sobie schronienie, jest w stanie owinąć kilka płyt liściowych jednocześnie. Z czasem wysychają, stają się czerwone i brązowieją. Gąsienice jedzą liście, z których pozostają tylko smugi, a także ranią skupiska i kwiatostany.
możesz rozpocząć przetwarzanie winogron z tego szkodnika już w ostatnich tygodniach zimowych. Aby to zrobić, użyj roztworu produktu Nitrafen lub DNA, którym obficie spryskuje się zarówno same rośliny, jak i podpory, ponieważ tam może hibernować liść. W sezonie wegetacyjnym do leczenia winnicy przed szkodnikami można stosować takie środki, jak: Cydial, Sumicydyna, Metafos, Fozalon, Ekamet lub Cymbush, lepidocyd, Lepidobaktocyd, Bitoksybacylina, Fastak. Po raz ostatni taką roślinę można spryskać preparatami chemicznymi nie później niż 30 dni przed zbiorem. Oprócz zabiegów konieczne jest również systematyczne sprawdzanie Krzewów i przycinanie zwiniętych liści wraz z gąsienicami, które są następnie niszczone.
listek na porzeczkach

krzewy porzeczki mogą zaszkodzić tym samym typom liści, które osiedlają się na drzewach owocowych. Liść porzeczki ― rozpiętość skrzydeł takiego motyla wynosi około 2,5 cm, jego brzuch jest brązowawy, a na przednich skrzydłach znajduje się ciemnobrązowy wzór, który jest znakiem trójkątnego kształtu. Z czasem stopniowo zmienia kolor na zielony i staje się prawie szmaragdowy. Tylko jedna samica jest w stanie złożyć około 150 jaj, z których wkrótce pojawią się gąsienice. Nie tylko żywią się liśćmi, ale także skręcają je w rurkę. Jeśli na krzaku jest wiele szkodników, ogrodnik może stracić prawie całą uprawę (do 80 procent).
aby uratować porzeczki przed tym szkodnikiem, zaleca się spryskać je środkami ludowymi. Aby to zrobić, możesz użyć zarówno wywarów, jak i naparów przygotowanych z roślin o ostrym zapachu lub żrącym soku, na przykład: piołunu, pomidorów lub ziemniaków, czosnku i cebuli. Nie zapomnij regularnie poluzować powierzchni gleby pod roślinami, a także oczyścić ją z latających liści, które muszą zostać zniszczone. W przypadku, gdy metody te okażą się mało skuteczne, konieczne będzie użycie środków chemicznych wymienionych w poprzednich sekcjach.
ulotki na malinach

najczęściej maliny są szkodliwe dla następujących rodzajów liści: różana, porzeczka, wszystkożerna, Głogowa, siatkowa, Wierzbowa, pstrozolotista, mróz i nerka. Ale maliny nie cierpią tak bardzo na takiego szkodnika w porównaniu do porzeczek.
- ulotki ― jest to mały motyl, którego rozpiętość skrzydeł wynosi około 2,2 cm u samców przednie skrzydła są pomalowane na szaro-czerwony lub szaro-brązowy odcień, podczas gdy w górnej części znajduje się para okrągłych plam o ciemnym kolorze. Kolor tylnych skrzydeł szary. Przednie skrzydła samic są szare i słabo rozwinięte, na ich powierzchni znajduje się gęsta powłoka złożona z długich włosów o ciemnym kolorze. Samice nie mają tylnych skrzydeł. Gąsienica jest pomalowana na brudnozielony odcień, po bokach ma jaśniejsze paski, głowa jest brązowo-żółta.
- Ulotka siatkowa ― rozpiętość skrzydeł takiego motyla wynosi około 2,2 cm, a przednie skrzydła są ochrowożółte lub brązowawe, ozdobione są brązowo-czerwonym lub rdzawo-brązowym wzorem. Jasnobrązowe tylne skrzydła są półprzezroczyste.
Zniszcz ulotkę na malinach w taki sam sposób, jak na porzeczkach (patrz wyżej). Dokonaj terminowego przerzedzenia krzewów, oderwij i spal zwinięte liście, oderwij chwasty i poluzuj powierzchnię gleby wokół roślin. Staraj się, jeśli to możliwe, używać środków ludowych do przetwarzania krzewów, które są prawie nieszkodliwe dla ludzi.
Ulotka na różach

czasami ulotki osiedlają się na uprawach kwiatowych. Na krzaku dotkniętym szkodnikiem można znaleźć liście zwinięte jak cygaro. Najczęściej na różach osiadają liście róży, które są małym motylem. U samców rozpiętość skrzydeł wynosi około 1,9 cm, a u samic do 2,2 cm Ochryano ― złote lub ciemnobrązowe przednie skrzydła zdobią wąskie poprzecznie ułożone faliste paski i kilka plam, które są pomalowane na ciemniejszy odcień. Długość półprzezroczystej gąsienicy może osiągnąć do 20 mm, jej głowa jest brązowa i błyszcząca. Kolor gąsienicy to różne odcienie zieleni. Jaja są w stanie przetrwać, gdy temperatura spadnie do minus 27 stopni, ale jeśli okres zimowy okazał się mało śnieżny, mogą umrzeć. Gąsienice gryzą liście, z których pozostają tylko szkielety, a następnie przenoszą się na szczyt pędów i gryzą pąki, po czym zaczynają jeść kwiaty.
jeśli na kwiatach jest niewiele szkodników, sprawdź krzewy i oderwij wszystkie zwinięte liście, które następnie zostaną zniszczone. W skrajnych przypadkach rośliny można spryskać roztworem Aktary(na 1 litr wody 1 ml). Również do opryskiwania można użyć produktów, które zawierają pyretrynę, na przykład: Ivanhoe, Alfacin, Fastac itp.
